
Kastanjelaan 0ong
9695 GE Bellingwolde
Vraagprijs € 72.500 Vrij op naam
Beschikbaar
Beschikbaar
Omschrijving
Aan de Kastanjelaan in Bellingwolde biedt Acantus 2 bouwkavels te koop aan met een perceelgrootte vanaf 400 m².
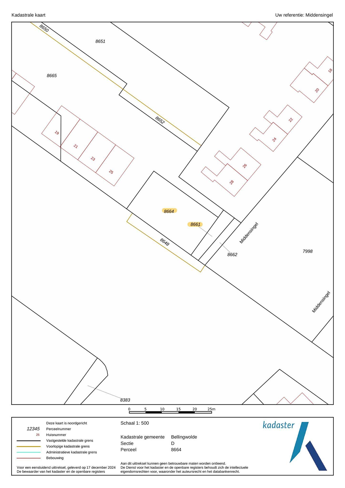
Kavels Kastanjelaan te Bellingwolde:
Kavel kadastraal bekend Bellingwolde D 8663 + 8660 (hoek Kastanjelaan/Wilgenhof), perceelgrootte totaal 550 m²: vraagprijs € 95.000,- vrij op naam
Kavel kadastraal bekend Bellingwolde D 8664 + 8661 (hoek kastanjelaan/Middensingel), perceelgrootte totaal 400 m²: vraagprijs € 72.500,- vrij op naam
Informatie:
- De akte van levering dient bij Notariaat Winschoten te passeren.
- Voor informatie over de kavels en de verkoop van de kavels kunt u contact opnemen met de verkopende makelaar.
- Voor informatie inzake een te bouwen woning verwijzen wij u naar de gemeente Westerwolde.
Kavels Kastanjelaan te Bellingwolde:
Kavel kadastraal bekend Bellingwolde D 8663 + 8660 (hoek Kastanjelaan/Wilgenhof), perceelgrootte totaal 550 m²: vraagprijs € 95.000,- vrij op naam
Kavel kadastraal bekend Bellingwolde D 8664 + 8661 (hoek kastanjelaan/Middensingel), perceelgrootte totaal 400 m²: vraagprijs € 72.500,- vrij op naam
Informatie:
- De akte van levering dient bij Notariaat Winschoten te passeren.
- Voor informatie over de kavels en de verkoop van de kavels kunt u contact opnemen met de verkopende makelaar.
- Voor informatie inzake een te bouwen woning verwijzen wij u naar de gemeente Westerwolde.
Kenmerken
Overdracht
Status
Beschikbaar
Vraagprijs
Vraagprijs € 72.500 vrij op naam
Aanvaarding
In overleg
Bouwvorm
Bouwvorm
Niet van toepassing
Bouwgrond oppervlakte
400m2
Woning
Ligging
In woonwijk
Overig
Permanente woning
Ja
Huidig gebruik
Bouwgrond
Huidige bestemming
Bouwgrond






